Overview
- Updated On:
- November 23, 2025
- Listing ID
- W-104
- 1,600.00 m2
Property Description
This excellent land for building a home in Pranburi. This splendid 1 Rai plot, spanning around 1600 square meters, offers an excellent investment prospect for those looking to acquire prime real estate. The region is experiencing rapid development, with many new homes being built, showcasing the rise of a vibrant and dynamic community. Its strategic proximity to essential services and nearby facilities adds to the appeal, making it an even more attractive choice.
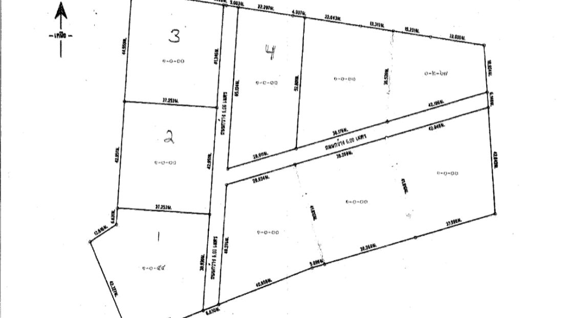
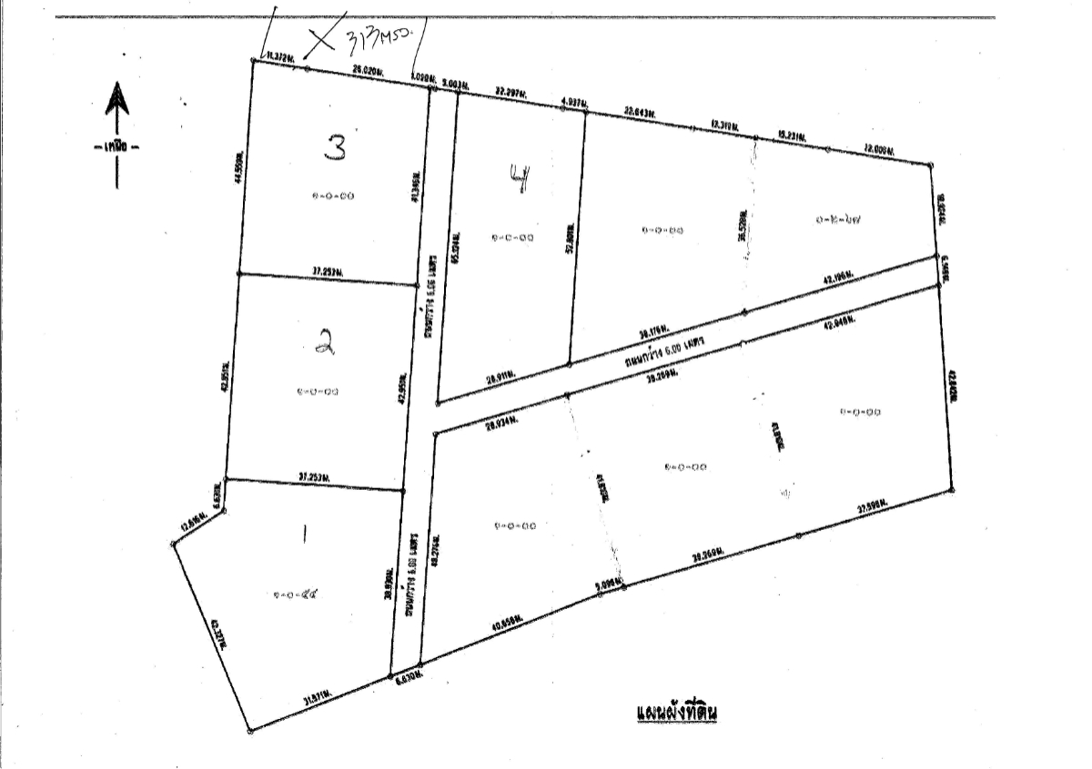
The parcel identified as Lot #4 on the accompanying diagram represents an appealing investment prospect for potential buyers, characterized by its secure and promising nature. To ensure a seamless transaction, the seller has committed to covering all associated transfer fees, thereby alleviating any procedural complexities for the buyer. This strategic measure not only optimizes the efficiency of the purchasing process but also contributes to the intrinsic value of the investment, underscoring its practicality and attractiveness.
The division of the land parcels is currently underway, with updated surveys and Chanote titles expected to be completed by January 2026. This guarantees prospective owners a reliable and transparent process of acquiring ownership. The excellent land for building a home benefits from easy access via a government-maintained paved road, while essential utilities such as electricity, water, and internet are already established, enhancing the location’s practicality and convenience.
These readily available amenities make the site perfect for constructing a modern home or vacation retreat, offering the harmony of contemporary comfort alongside a natural setting. Additionally, the predominantly flat terrain simplifies both construction and landscaping efforts.
This region presents a serene and tranquil environment, rendering it an exceptional choice for constructing the home of your aspirations. The property’s expansive proportions allow ample opportunity to design a spacious residence, potentially incorporating features such as a pool and lush gardens to elevate the quality of outdoor living. Envision a lifestyle where you can unwind by your private pool under the sun or host unforgettable family gatherings in a thoughtfully landscaped yard. The numerous design possibilities enable you to customize every aspect to align with your personal preferences and distinctive way of life. Furthermore, the calm and peaceful surroundings provide an ideal backdrop for relaxation, socializing, and engaging in a wide array of outdoor pursuits.
This quality land for sale in Pranburi offers a fantastic chance to own a stunning, ideally situated plot close to the beach. Nestled in the picturesque area of Paknampran, it’s perfect for anyone seeking to connect with nature and relish the welcoming atmosphere of a tight-knit community. This is more than just acquiring land; it’s an invitation to embrace the enriching lifestyle that comes with it.
Celebrated for its magnificent sunsets and captivating vistas, this area provides an idyllic atmosphere perfect for unwinding and enjoying moments of tranquility. If this aligns with your vision, potential buyers are invited to reach out through message or phone to arrange a viewing of this charming 1 Rai plot available for purchase—a location where the dream of your ideal home and lifestyle can start to come to life.
Pranbuti Land for Sale Area Information
Check out the Excellent Land for Building a Home
Pranburi offers a tranquil and welcoming setting, ideal for individuals seeking a serene place to reside. The expansive beachfront is complemented by meticulously maintained walking and cycling paths that extend seamlessly toward Khao Kalok. These scenic routes serve as excellent venues for invigorating morning runs or relaxed evening walks, allowing residents to immerse themselves in the region’s stunning natural surroundings. The beach is especially renowned for its soft sands and clear, inviting waters, providing optimal conditions for swimming or relaxing under the sun. Further enhancing its charm, the area is often graced by local wildlife, contributing to its peaceful and enchanting ambiance.
Pranburi boasts a picturesque coastline, enriched by an array of culinary establishments that serve both authentic Thai dishes and Western fare, appealing to a wide spectrum of palates. The area is well-equipped with essential services, including multiple 7-Eleven outlets and bustling local markets, ensuring residents enjoy convenient access to daily necessities alongside diverse shopping opportunities.
Situated in the picturesque Pranburi region, Paknampran offers a harmonious blend of peaceful landscapes and contemporary conveniences, making it perfect for families, retirees, or anyone drawn to a laid-back, coastal way of life. Adding to its appeal, the community organizes lively local events and markets, providing residents with opportunities to experience the area’s rich cultural heritage and welcoming atmosphere.
With ongoing development in the area, property values are expected to increase, making this 1 Rai Land for Sale a compelling option for both building your dream home and making a wise investment. The neighborhood radiates warmth, seamlessly combining the allure of local culture with a vibrant expatriate community that promotes a harmonious and welcoming environment. Residents enjoy diverse leisure activities such as water sports, fishing, and trips to nearby natural parks. These parks provide excellent opportunities for hiking, bird watching, and connecting with nature, offering countless ways to embrace the outdoors. This land in Paknampran represents more than a simple property acquisition—it’s a step toward a rewarding lifestyle enriched with adventure, nature, and community spirit.
Investing in the Excellent Land for building a home provides an opportunity to join a vibrant community that emphasizes nature, serenity, and contemporary living. As the region develops further, residents can look forward to new amenities and services that enhance the quality of life. With significant potential for property value growth, this land offers more than just a foundation for your home—it stands as a promising investment choice.
Whether you’re considering it for personal use or as a rental investment, this land offers adaptable possibilities to suit various lifestyle demands. Take charge of your future today by seizing this unique chance to own a piece of paradise in Paknampran, Pranburi.
A recently listed property is now on the market and hasn’t been advertised yet. Don’t miss the chance to be one of the first to view this lot along with other options in the area. Contact us today to learn more about this excellent land for building a home. Land for sale in Paknampran, Pranburi.
- Principal and Interest
- Property Tax
- HOA fee
- Private Mortgage Insurance




