Overview
- Updated On:
- October 16, 2025
- Listing ID
- W-101
- 1,600.00 m2
Property Description
Beautiful Paknampran Land for Sale
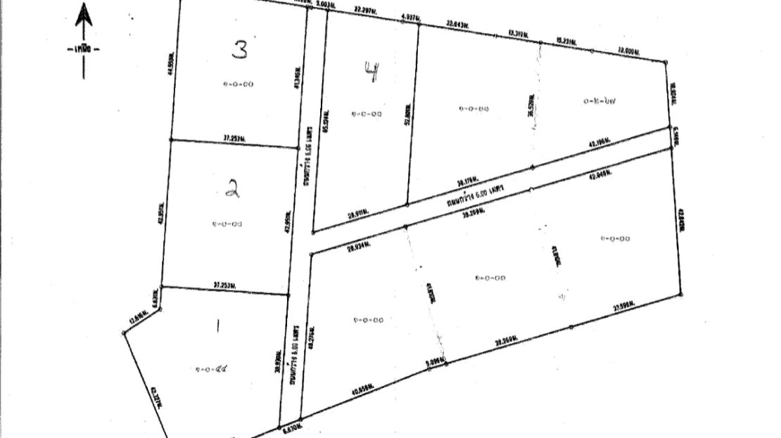
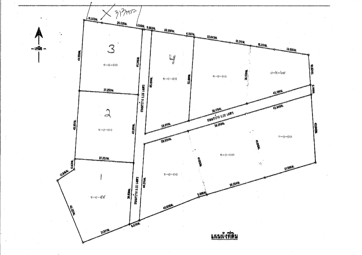
1 Rai land for sale in Paknampran, Pranburi. Very nice location with new homes being built all around. This is labeled as lot #1 in the property diagram. Seller will pay all transfer costs.
The lots are being divided now and new survey and Chanote titles will be ready in January 2026. Government paved road leading to land with electric, water and internet available. Very nice and quite area, perfect for building your dream home. Land size is perfect for building a large home with pool and gardens.
A great opportunity to purchase very nice land in a great area near the beach.
Message or call for a viewing of this nice land for sale.
Paknampran Land for Sale Area Information
The Paknampran area is a wonderful and peaceful place to live. A long beachfront with walking and bike lanes all the way to Khao Kalok. Many restaurants serving a variety of Thai and Western dishes and several 7-11 stores. Paknampran is part of Pranburi. You can read detailed information about Pranburi here.
More information about Paknampran.
- Principal and Interest
- Property Tax
- HOA fee
- Private Mortgage Insurance



